Red Willow residents respond to developer’s multifamily housing interest
News | Published on December 16, 2025 at 3:19pm EST | Author: frazeevergas
0
Council member Andrea Froeber made a lengthy statement to conclude Wednesday’s city council meeting addressing what she termed misinformation and defending the rights of the city and its committees to explore all options for the betterment of the city as a whole.
By Robert Williams
Editor
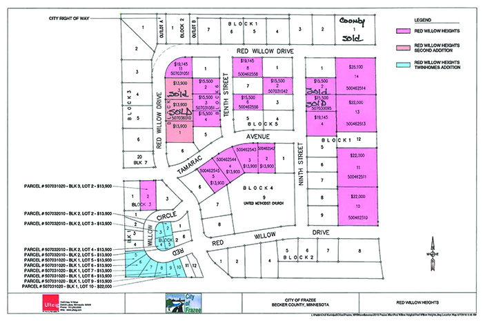
Nine residents of Red Willow Heights attended the Frazee City Council meeting on Wednesday, Dec. 10, to voice their united opposition to a report that the Economic Development Authority (EDA) had discussions with a developer about plans for rezoning and future development of multifamily housing at the front of the subdivision on County Road 29.

Lots along the eastern edge of Red Willow Heights have caught the interest of a developer interested in building multifamily apartments and the public notice of his interest garnered plenty of opposition from Red Willow residents, which they explained to the city council Wednesday night at the Event Center.
Rhonee Freeman opened the discussion wanting clarification on the project and got a summary of the issue from Mayor Mike Sharp.
“I don’t serve on the EDA, but my understanding is that there is a developer that is looking at bringing market-rate, mutli-family housing to Frazee,” said Sharp. “There are a couple of lots or parcels that are being looked at. The EDA, as owner of those lots in Red Willow, has brought up the idea of potentially putting those multifamily housing units up in that development. The city also owns a large lot by Dollar General that’s zoned for multifamily housing. That is another option we are looking at, as well, if this developer would like to put the housing out there.”
Freeman reiterated the city has land already zoned multifamily, including locations where existing multifamily complexes are established and that those areas were chosen because they have the appropriate infrastructure and space to accommodate higher-density housing without disrupting the existing single-family neighborhoods.
Continuing from a prepared statement, Freeman made allegations that two council members were against similar issues in their own neighborhoods.
“It has gone unnoticed by residents that two of the council members who support placing apartments in Red Willow Heights live near the existing apartment complexes and have expressed opposition to additional multifamily development in their own neighborhood,” Freeman said. “While every council member is entitled to personal opinions about development near their homes it feels inequitable to ask one neighborhood to accept changes that another neighborhood actively avoids. We respectfully request that the same consideration be given to established neighborhoods be extended to ours as well.”
Ann Lanigan Heath called future apartments a “detriment to the neighborhood,” and that Red Willow is an “important place for families.”
“Especially, when there is already a spot where the infrastructure is ready to go,” she said.
Sharp answered the first two speakers. He did not acknowledge the incorrect statement that the land by Dollar General does not have existing infrastructure in place, but noted the residents of Red Willow have a lot of control on what is built in their subdivision.
“My position on Red Willow: if this is something the residents of Red Willow want I will support it. If you guys don’t want it, obviously I will vote,” he said. “So, the development has covenants that are out there that specifies what land can be used for. You, as residents, have a big say on what happens out there because of those covenants.”
Article III of the declaration of covenants (uses and prohibited uses) addresses the issue in Section 1 – Use of Lots:
Except for the Lots specifically designated in the second paragraph of this Section 1, such Lots, each and every one thereof, are for single-family or twin home residential purposes only. No building or structure intended for or adapted to business purposes, and no apartment house, double house, lodging house, or other multiple family dwelling shall be built, placed, permitted or maintained on such Property, or on any part thereof. No improvement or structure whatsoever, other than a first class private Dwelling, patio wall, swimming pool, gazebo, pool bathhouse, or garage may be built, placed or maintained on any Lot in such Property subject to the terms and conditions of these Restrictive Covenants and the approval of the Declarant. No mobile homes, doublewide mobile homes or the like are permitted. This provision shall not preclude Dynamic Homes type of modular homes upon these Lots provided, however, that any such modular home must be approved by the Declarant. This [sic] modular homes or prefabricated homes are allowed. No profession or home industry shall be conducted within any Dwelling or upon any Lot without the prior written approval of the Declarant. This provision shall not preclude a daycare business.
Lots 10, 11, and 13 of Block 1, Lot 8 of Block 2, and Lot 1 of Block 7 may be used for commercial purposes. Lot 9 of Block 4 shall be used for church purposes. Lots 1 and 4 of Block 3 may be used for multifamily residential purposes. Except for the specific uses permitted by the foregoing, all of said Lots shall nevertheless be subject to the covenants and conditions contained within this Declaration.
Backed by Mayor Sharp’s prior comment, more residents felt inclined to voice their opposition to multifamily units in Red Willow Heights.
“I’m absolutely opposed to it,” Brian Rossum said. “If we already have property in the city limits zoned for it, I don’t see why this is even a question.”
Also officially going on the record in opposition were Andy Paulson, Jennifer Aho, Traci Totland, Diane Schumacher and Chris Peluso.
Totland noted that there are other residents who were not in attendance that were in opposition who wanted their opinions known.
Schumacher thanked the mayor for clarifying residents do have a say on development in their neighborhood.
The residents spoke during the Open Forum when council members typically do not speak. Council member Andrea Froeber addressed the issue at the end of the meeting in council member comments.
Peluso arrived just after the group discussion and received a summary from the mayor that included discussion of any possible rezoning.
“That is zoned for single and two-family residential, that’s R-1, and if that was going to be switched to multifamily housing that would have to be rezoned,” said Sharp. “In addition, the Red Willow Heights development has covenants that specifies the land use that is allowed out there. As a resident of Red Willow, you guys have a lot of say on what happens in that development because of those covenants.”
Peluso stated he would “definitely be opposed to residential apartments in the area.”
Future Growth
Discussion
Future growth in Frazee has been recently discussed in more than one committee and more than just the EDA. The Planning and Zoning commission reviewed a “draft” future land use map prepared by City Engineer Chris Thorson that designated areas for various types of development, including residential, multifamily residential, and commercial zones at their meeting Tuesday, Nov. 25.
City Administrator Stephanie Poegel updated the commission on a developer interested in building market-rate apartments in areas labeled as #2 and potentially #3 on the map.
The area marked #2 represents the most easterly lots of Red Willow Heights; the area marked #3 is the Mikkelsen property near Dollar General.
According to the commission’s minutes, the developer would likely seek rezoning of area #2 to multifamily residential. This would require a conditional use permit if the proposed development included more than 12 units per lot.
The commission discussed the advantages of each location, with Poegel noting that area #2 already had water and sewer utilities stubbed to the lots, making it more appealing to the developer despite potential opposition from nearby residents. Area #3 was already zoned for R3 (multifamily), but would require extending utilities.
Members expressed concern about potential opposition from Red Willow residents based on previous experiences with proposed multifamily housing in that area. They discussed the importance of community engagement and transparent communication about the project before it proceeds.
The EDA also stressed the importance of engaging residents before making any decisions during their last meeting.
The commission also discussed other areas on the future land use map, including several that were outside city limits and would require annexation for development. They noted that the map was a planning tool rather than a binding document, and would not affect current property owners unless they chose to develop or sell their land.
The map was recommended to the city council for future use and was approved by a unanimous vote.
Froeber’s response
At the conclusion of the council meeting, Froeber stood and addressed the issues brought up in the open forum, specifically, comments made from the prepared written statement.
“I don’t like it when there is misinformation,” she said. “There is no issue from the residents over by the Dollar General to develop that land. The people that had come before with plans—they were looking for the city to fund it. So, we weren’t going to say yes to that. What was read is misinformation, in my opinion. It wasn’t a good fit. It wasn’t a good business plan for the city.
“One of the things that I’ve been passionate about is doing senior housing and senior housing over there with a mixed use, because it’s so connected to the Care Center. If I had won the lottery I’d buy the land and build senior housing because I feel like we need it. It’s not that there aren’t apartments being looked at. It’s just a better fit because the seniors over on that side already are there and the Care Center is there. The discussion was to create a walking path between the two so it could have aesthetically ticked a lot of boxes. We are still looking at apartment complexes over there but there is no infrastructure. So when you say, ‘oh, it’s all ready to go,’ it needs a lot of grading and it needs money poured into the infrastructure.
“The other thing that frustrates me is okay, you’re going to build these beautiful apartments and the given is they’re just going to turn into dumps. Red Willow was supposed to be a pristine neighborhood and I walk there many, many times and not all of those houses would I deem pristine. Nothing ventured, nothing gained and nobody wants to have apartments, nobody in this community wants to have apartments that don’t look nice. Because Drew (Daggett) and I are on EDA, I do not want this council or people in this community throwing us under the bus while we explore opportunities for Frazee. If you look at any large communities like Fargo or Moorhead, all of them have a building template of putting residential houses in the center, twin homes on the next level and on the outer perimeter of all those developments are apartments, high-density apartments. I think we have been very respectful in our EDA committee meeting in saying we are not going to blindside these residents. We want to take our time. We want to meet with a few people. We want to have an open house with the council, possibly this builder, at least his drawing. In the end, if people don’t want it, that’s fine. But we have an obligation as a council to explore things that keep our tax base down and bring people to live here that will keep our businesses going on. I just want people to know that my heart is not in putting some dumpy thing over in Red Willow. I want to know that each of you know that the intent is to do the right thing for all of Frazee, not just a few houses for a few homeowners in Red Willow.”
